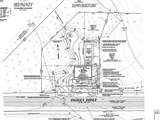
Description
Last available lot! Surrounding lots are currently being improved with new homes. Almost 3/4 acre lot with deeded beach rights to Point Connett's "Sandy Beach"! Shown as Lot D on approved ANR plan. This lot has frontage on Angelica Ave with Town Water and Town Sewer connections in front of lot. A recent site plan with a proposed single-family home with crawl space (not stilts/pilings) has received approval from MA-DEP and Town of Mattapoisett ConCom.
School Ratings & Info
Description
Last available lot! Surrounding lots are currently being improved with new homes. Almost 3/4 acre lot with deeded beach rights to Point Connett's "Sandy Beach"! Shown as Lot D on approved ANR plan. This lot has frontage on Angelica Ave with Town Water and Town Sewer connections in front of lot. A recent site plan with a proposed single-family home with crawl space (not stilts/pilings) has received approval from MA-DEP and Town of Mattapoisett ConCom.
Related Properties
The property listing data and information set forth herein were provided to MLS Property Information Network, Inc. from third party sources, including sellers, lessors and public records, and were compiled by MLS Property Information Network, Inc. The property listing data and information are for the personal, non commercial use of consumers having a good faith interest in purchasing or leasing listed properties of the type displayed to them and may not be used for any purpose other than to identify prospective properties which such consumers may have a good faith interest in purchasing or leasing. MLS Property Information Network, Inc. and its subscribers disclaim any and all representations and warranties as to the accuracy of the property listing data and information set forth herein. Data last updated 2026-01-24T00:03:41.307.
